


It looked a bit of a hairy moment for US Air Force Hurricane Hunters

25,000 tourists are said to be trapped in the country

It comes as three people have died preparing for the storm to shake the Caribbean island

The storm has slammed the East Coast with flooding, fierce winds, and chaos across multiple states

Residents have been warned to 'remain off the roads unless absolutely necessary'

Tropical Storm Humberto has been upgraded to a hurricane

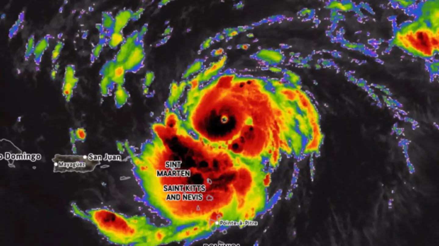
Hurricane Humberto and Imelda could clash, sparking a devastating phenomenon

Two storms in the Atlantic could be headed for the East Coast

Hurricane Gabrielle has become a Category 3 storm

This is perhaps our last chance this decade to catch nature’s unforgettable light show

The storm is set to make landfall on Tuesday (September 9)

We all want our four-legged friends to be cozy, but are heated beds the best bet?

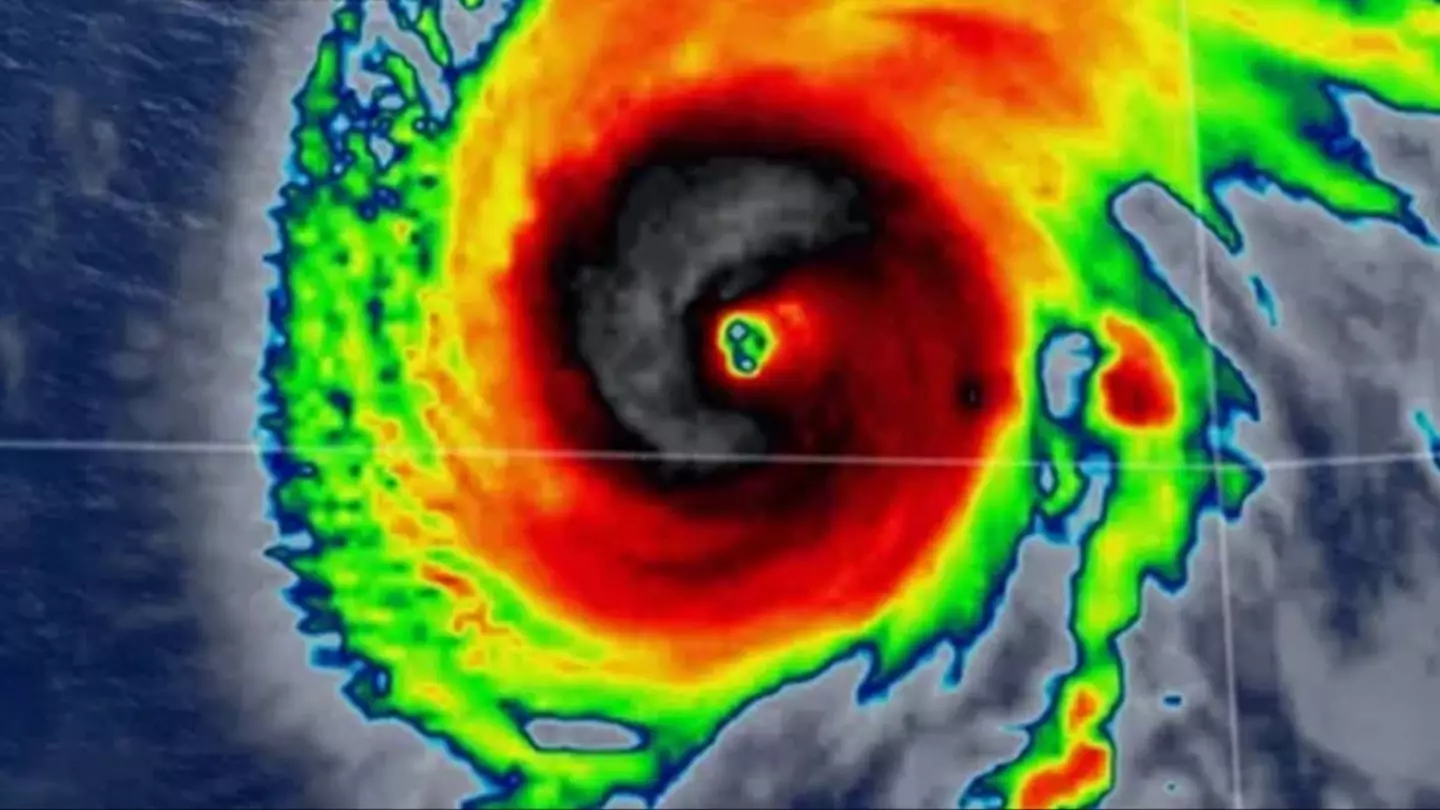
Hurricane Erin was previously category five before turning into category three, but she is expected to increase in size

Hurricane Erin is expected to cause chaos on the US coast

Urgent warning to these areas as hurricane moving towards US has potential for ‘catastrophic damage’
Hurricane Erin has hit recorded speeds of 160mph

There are plenty of safer ways to cool down your beloved device

Nick Jansen took to social media to defend his actions

Skies are reportedly 55 percent bumpier today in comparison to 40 years ago

4,000 employees at the power plant have been forced to evacuate

David Martin is at war with his Homeowners Association over cold water

I know it might be tempting, but don't do it!

More than 100 people, including at least 30 children, died as the Guadalupe River broke its banks

So far, at least 27 campers have lost their lives







