
A terrifying map has predicted where Hurricane Kiko could hit if it makes landfall in Hawaii next week.
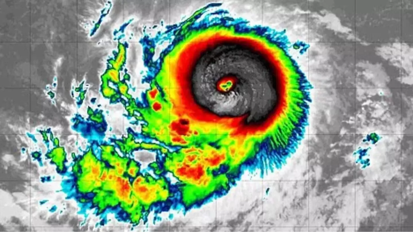
The National Hurricane Center and the Central Pacific Hurricane Center announced on Wednesday that Hurricane Kiko - which was a Category 4 at the time - was building up strength, with many believing it could become a Category 5 storm within days.
The hurricane is expected to make landfall in Hawaii by Tuesday afternoon on September 9, local time.
AccuWeather explain that the hurricane is currently between southern Mexico and Hawaii and is expected to be over the Hawaiian Islands by the middle of next week.
Advert
Meanwhile, meteorologists have warned that heavy rain can be expected, as well as flash flooding and landslides.

A map released by AccuWeather has revealed the forecasted path of the hurricane, which is set to move westward across Hawaii.
The good news is that Kiko has lost intensity and has now been downgraded to a Category 3 storm with maximum winds of 115mph.
Advert
“Kiko is forecast to maintain a major hurricane of at least Category 3 strength (130–156 mph) late this week as it tracks west toward Hawaii,” AccuWeather Lead Hurricane Expert Alex DaSilva said.
“If Kiko continues toward Hawaii, even as a less intense tropical storm, it could still bring significant wind and rain to the islands next week."

It's thought that as the storm moves westward, it should lose intensity as it encounters cooler water.
Advert
Impacts on Hawaii will be reduced if it moves north or south - or if it weakens even more - before it's expected to hit next week.
Despite the downgrade to a Category 3, it's currently too early to know for sure if it could strengthen again.
However, it's believed that flash flooding is possible, with the National Weather Service in Honolulu explaining: "Statewide, flash flooding is a possibility.
"At a minimum, increased showers are expected through much of next week."
Advert
If Kiko does make landfall with Hawaii, it would certainly be a rare occasion, with the islands seeing just two hurricanes since 1950, the National Oceanic and Atmospheric Administration's historical hurricane path tracker reports.
Those in Hawaii are being told to 'prepare', by gathering supplies and learning their evacuation routes.
Advert
"For any disaster, people need to be able to access a plan... recognise their vulnerabilities, where they live, work," Talmadge Magno of the Hawaii County Civil Defense told Khon2 News.
"The second thing is to receive emergency alerts, they need to sign up for our Everbridge program."
Hurricane season in the region lasts until the end of November.
Topics: Weather, World News, News, Hawaii