
Topics: Science
Scientists who have discovered some mysterious holes in the seabed 1.7 miles under the surface of the Atlantic Ocean have asked Facebook users to help them work out what they are.
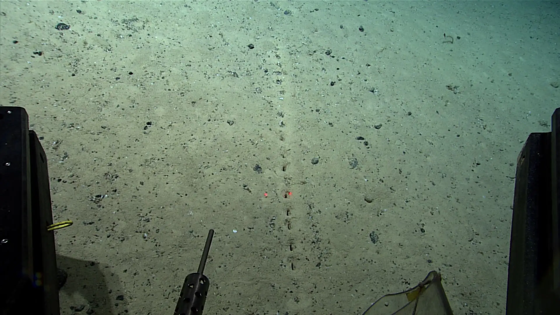
The mysterious gaps form a straight line in the seabed, baffling experts and leading to a public call out for help.
"Okay Facebookers, time to get out those scientist hats!" the National Oceanic and Atmospheric Administration (NOAA) wrote on its Facebook page.

Advert
"On Saturday's #Okeanos dive, we observed several of these sublinear sets of holes in the sediment.
"These holes have been previously reported from the region, but their origin remains a mystery.
"While they look almost human made, the little piles of sediment around the holes make them seem like they were excavated by...something."
The explorers are part of NOAA's Voyage to the Ridge 2022, which are three ocean explorations that include mapping and using a remotely-operated vehicle to gain a better understanding of deep water areas around the Mid-Atlantic Ridge, Azores Plateau and Charlie-Gibbs Fracture Zone.
The holes were found near the Mid-Atlantic Ridge, and Facebook users were asked: "What's YOUR hypothesis?"
They were met with over 60 responses.
"I wonder if some company may be conducting sea floor samples," one person wrote.
"That might explain the straight lines and the spacing of the holes. Especially if you have seen others in the region. Only thing is, everything else around it doesn't seem like it's been disturbed."

A second user suggested: "Upwelling! Freshwater from a land source bubbling up? As if there's a rock under there allowing the flowing water to break through in that linear manner."
Another posited: "Some type of crab maybe."
"The holes themselves seem to have straight edges. it looks like two concrete slabs are butted together over a void and buried underneath all of the sediment, then they have shifted a fraction... and the sediment is falling into the covered hole?", said a third.
While another commenter offered: "This to me looks like the sediment is falling through, or water flowing up from a crack in a geological shelf or cave roof.
"I suspect either ancient coral or some sedimentary rock structure underneath has a void for which material is being washed out further away. I would start to see if there was any caves or deformation in the seabed."
The Mid-Atlantic Range spans the entire north-south length of the Atlantic Ocean and stretches for 10,000 miles. It's one of the longest mountain ranges in the world but since most of it's underwater there isn't much known about it.
If you have a story you want to tell, send it to UNILAD via [email protected]